
Cultura
Jueves, 20 de Enero del 2022. 7:49:10 pm
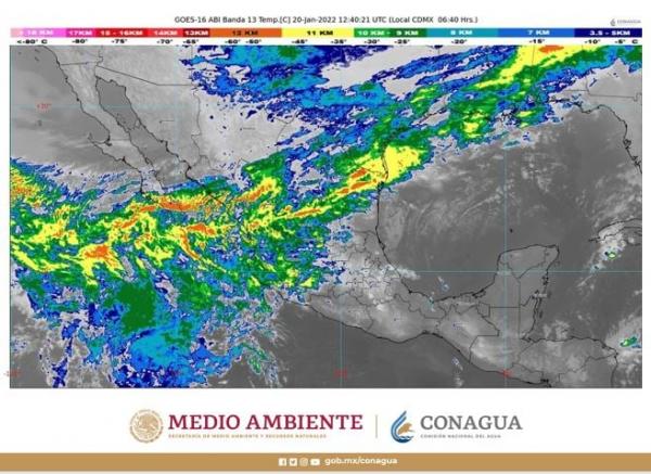
Durante la mañana se prevé ambiente de muy frÃo a extremadamente frÃo en el norte y noreste de México, con heladas en la mayor parte del paÃs. El Servicio Meteorológico Nacional de la Comisión Nacional del Agua recomienda a la población evitar la exposición prolongada al ambiente frÃo ...
Jueves, 20 de Enero del 2022. 1:18:12 pm
Un juez federal ordenó a la FiscalÃa General de la República (FGR) investigar al Subsecretario de Salud, Hugo López-Gatell, por su presunta responsabilidad en el delito de homicidio por omisión, debido a las muertes registradas por la pandemia de Covid-19. Lo anterior derivado de las...
Jueves, 20 de Enero del 2022. 12:14:16 pm
La vacuna de rusa Sputnik V demostró una fuerte protección contra la variante ómicron del Covid-19 por encina de la vacuna Pfizer, según un estudio preliminar. Dicho estudio estuvo a cargo de un equipo conjunto de cientÃficos del Instituto Spallanzani y del Centro Nacional de Investigación ...
Jueves, 20 de Enero del 2022. 11:29:28 am
El Servicio Meteorológico Nacional de la Comisión Nacional del Agua recomienda a la población evitar la exposición prolongada al ambiente frÃo y los cambios bruscos de temperatura, asà como vestir ropa abrigadora y prestar atención especial a niños, personas de la tercera edad y enfermos, ad...
Jueves, 20 de Enero del 2022. 10:39:12 am
El gobernador de Jalisco, Enrique Alfaro RamÃrez informó que dio positivo a la prueba de Covid-19. "Quiero informarles que salà positivo a covid. La verdad me sorprendió la noticia porque no tengo ningún sÃntoma. Estoy bien", dijo a través de redes sociales. Explicó que tuvo contact...
Jueves, 20 de Enero del 2022. 9:45:17 am
Durante los primeros tres años de gobierno del Presidente López Obrador se ha logrado una disminución de 32.3% en la incidencia delictiva, asà lo informó la secretaria de Seguridad y Protección Ciudadana (SSPC), Rosa Icela RodrÃguez. En conferencia de prensar agregó que dicho delito se co...