
* Cerca de 400 elementos, moto-patrullas, patrullas y equipo de seguridad; estarán en coordinación con autoridades de Protección Civil, realizando labores de prevención, traslado a las familias a los diferentes albergues
Redacción/El Sol de Nayarit
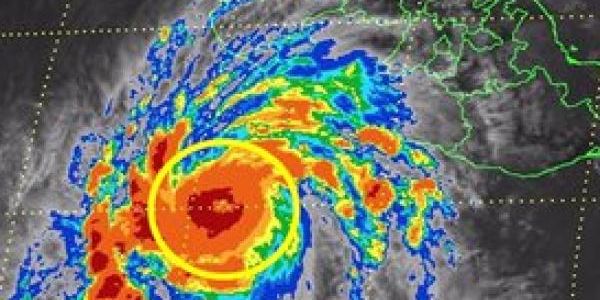
Fiscalía del Estado de Nayarit informó que elementos de la Policía Nayarit inician un operativo en la zona sur del Estado, derivado de la inminente llegada del Huracán Patricia, que alcanzó la categoría 5, la máxima en la escala Saffir-Simpson.
En un comunicado, la FGE señaló que cerca de 400 elementos, moto-patrullas, patrullas y equipos de seguridad, estarán en coordinación con autoridades de Protección Civil, realizando labores de prevención, traslado a las familias a los diferentes albergues, así como apoyando en cualquier contingencia que pudiera suscitarse.
Al respecto, el Fiscal General del Estado, Edgar Veytia, explicó que la Policía Nayarit se encuentra preparada para trabajar por la seguridad de los nayaritas, como ya lo ha hecho en otras contingencias.
Nuestra prioridad es garantizar la seguridad de las familias, como cuerpos de seguridad tenemos la obligación y la responsabilidad de velar por los nayaritas, declaró.
En 12 municipios de Nayarit se ha emitido una alerta meteorológica, y en Bahía de Banderas, Compostela y San Blas se suspendieron las clases para este viernes en todos los niveles educativos.
Foto: Conagua
Comentarios
Lupita
2015-10-22 21:12:53
Que Dios los protega.
:-(
2015-10-22 22:18:35
:-(
Eep
2015-10-22 22:54:41
Todo el pueblo de Nayarit debemos unirnos en cadena de oración solo nos queda que la mano de el creador nos ayude a todos los estados en riesgo
hipocritas¡¡¡
2015-10-23 00:03:32
vayanse a la ver..gaa con sus oraciones estu..piidoss hipocritas, ven la amenaza de la naturaleza y quieren salvar sus estupi..das y mediocres vidas para regresar al vicio y al vale madrismo, ojala les toque lo que dios les depara
amargado.tu
2015-10-23 02:59:05
Ese que se puso hipocrita!!/estas viendo la necesidsd y no te Incas.
dios los bendiga y los ampare y La Virgen los ptoteja con su manto santo
....
2015-10-23 08:39:40
muchos vacacionistas y habitantes de esas sonas estan por dinero maL HABIDO. ESOS SI QUE SE LOS LEVE LA CHI...NA POBLANA. LO DEL AGUA AL AGUA. LOS QUE NO, PUES CUIDENSE.
el vergon
2015-10-23 08:56:34
... ... HIPOCRITA ESTO ES PARA EL HILPOCRITA Y CHUPES TU YTERESA Y TE SIENTES EN ELLA WEY QIERES UNOS ... SOS SAL Y DALA CARA HLIJO DETU P T MADRE AS DE SER ATEO O MUSULMAN WEY O EL MISMO DEMONIIO DE ... CULERO AQI TE ESPERO EN LA MOLOLOA EN LA PLAZA DE LA MUSICA AVER SI TIENES HUEVOS WEY!!!
..
2015-10-23 09:27:34
OREN HIJOS MIOS PA QUE DIOS NO LOS MANDE A CHI...FLAR A LA LOMA. Y LOS QUE NO, POS ES IGUAL, PA QUE NO SE LOS LLEVE LA CHI...CUNGUNYA
modesta
2015-10-23 21:55:09
dios los ayude y los proteja a toda esaa hermosa gentee que esta en riesgo del uracan hay que orar por todospara que nada malo les pase jehova dios loss va ayudar oren een su nombree
que dioss me los bendiga a todos